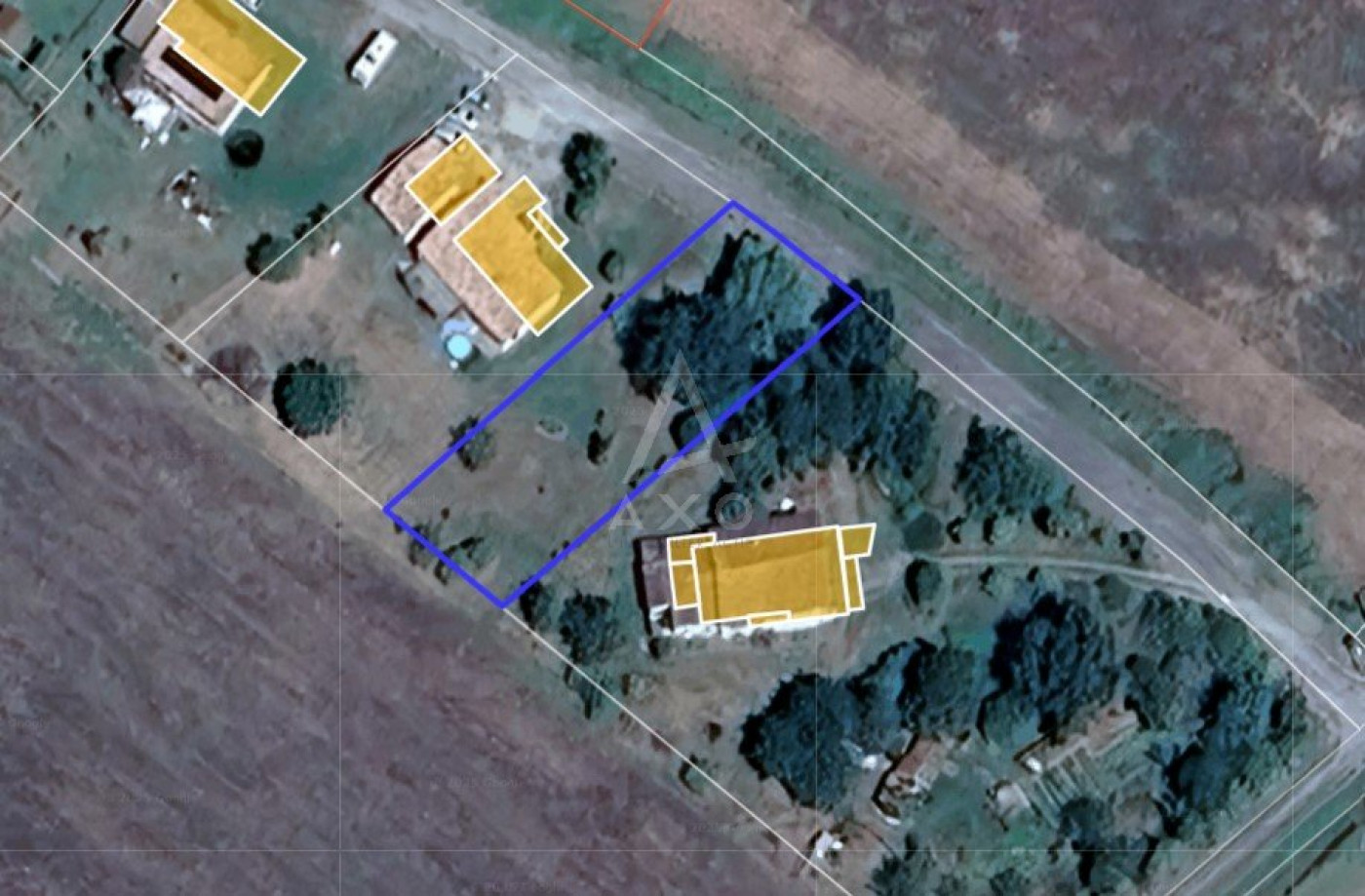
Terrain constructible
COMBEROUGER (82600)
- NC
- NC pièce(s)
- NC chambre(s)
- 935 m²
Prêt à bâtir avec PC accordé !
À saisir : magnifique terrain plat de 935 m² dans un village calme et familial de Comberouger, à seulement 12 min de Beaumont-de-Lomagne, 16 min de Verdun-sur-Garonne et 20 min de Grenade. École primaire/élémentaire, crèche et assistantes maternelles à proximité immédiate. Idéal pour une vie paisible au cœur du Tarn-et-Garonne !?
PLU très souple : Maison plain-pied ou à étage possible, libre choix de constructeur, hauteur max 6 m.?
Permis de construire VALIDÉ pour une belle maison de 142 m² en plain-pied (modifiable selon vos besoins).
Études de sol complètes : G1 + G2 réalisées, fondations classiques superficielles préconisées
Non viabilisé mais prêt : Tous réseaux (eau, électricité, assainissement) au pied de la parcelle pour raccordements faciles et économiques.
Parcelle vierge dans hameau pavillonnaire tranquille. Terrain constructible immédiatement avec tous documents techniques en main – gagnez des mois sur votre projet !
Contactez votre Agent AXO - L'immobilier Actif au 06 80 31 82 72, Valérie RENAULT (EI) Agent Commercial RSAC 922.070.65 Toulouse. Plus d'informations sur www.axo.immo (réf. 85002123021).
Honoraires à la charge du vendeur.
Les informations sur les risques auxquels ce bien est exposé sont disponibles sur le site Géorisques : https://www.georisques.gouv.fr/
* Honoraires charge vendeur.















